
FALKENHAGENER STRASSE
NEUBAU, FALKENHAGENER STR., FALKENSEE
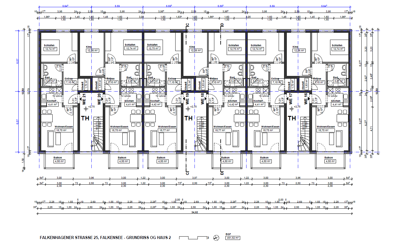
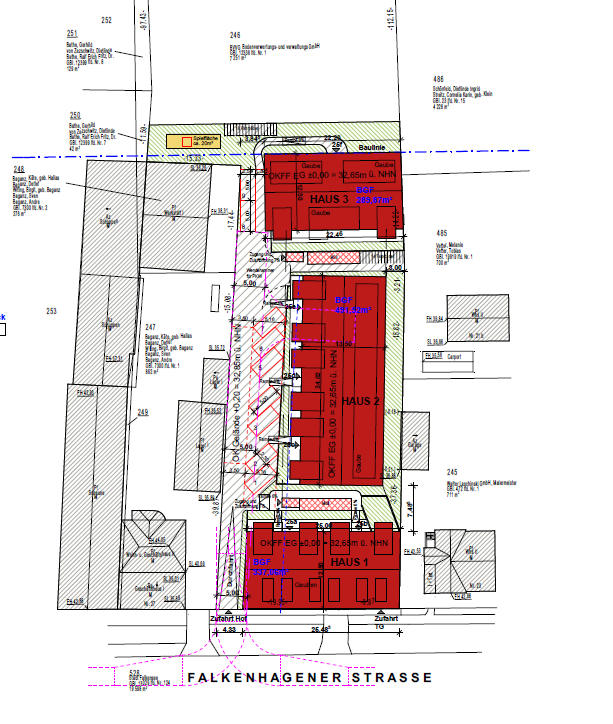
Auf dem Grundstück entstanden 3 repräsentative Mehrfamilienhäuser mit insgesamt 32 Wohnungen, welche sich durch moderne Grundrisse auszeichnen. Ebenso wurde eine Tiefgarage errichtet.
Die Häuser wurden als Effizienzhaus 55 geplant und umgesetzt.
Auftraggeber: - privat -
Umfang: Neubau 3 Mehrfamilienhäuser mit insg. 32 WE, WF 2.339m2
Baukosten Mio € brutto
Leistungsphasen:1 - 5
Ausführung: 2018 - 2020

